Akhir Oktober 2025 menjadi bulan yang menegangkan bagi warga Jamaika. Nama “Melissa” yang biasanya terdengar lembut justru menjadi simbol kehancuran, setelah Badai Melissa menerjang daratan pulau itu dengan kekuatan yang belum pernah terjadi sebelumnya.
Namun, apa sebenarnya Badai Melissa itu? Mengapa ia bisa begitu kuat? Dan bagaimana badai ini terbentuk hingga menjadi salah satu badai paling berbahaya dalam sejarah Jamaika?
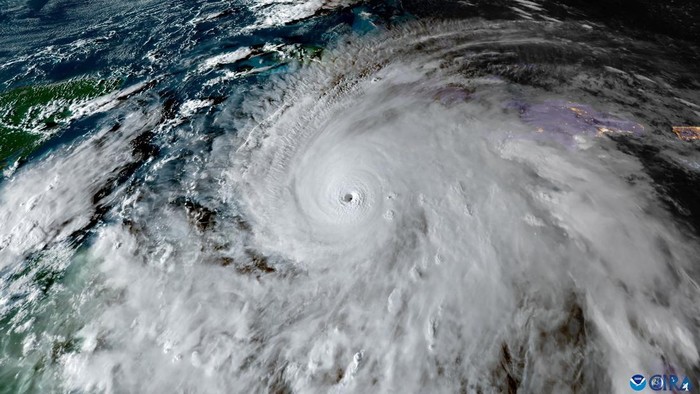
1. Dari Mana Badai Melissa Berasal?
Badai Melissa merupakan badai tropis kategori 5, kategori tertinggi dalam skala Saffir-Simpson Hurricane Wind Scale. Badai ini terbentuk di atas Samudra Atlantik bagian barat, ketika suhu permukaan laut meningkat tajam akibat cuaca ekstrem dan pemanasan global.
Fenomena seperti Melissa terjadi ketika udara hangat dan lembap dari laut naik ke atmosfer, lalu bertemu dengan udara dingin di lapisan atas. Perbedaan suhu ini menciptakan pusaran tekanan rendah yang kemudian berkembang menjadi badai tropis.
Menurut Layanan Informasi Jamaika (JIS), Melissa mulai terbentuk sekitar pertengahan Oktober dan terus menguat selama pergerakannya menuju Laut Karibia. Ketika mencapai daratan Jamaika pada Selasa, 28 Oktober 2025, kecepatannya mencapai 295 kilometer per jam — cukup kuat untuk merobohkan bangunan beton dan menumbangkan pohon besar.
2. Mengapa Disebut “Kategori 5”?
Dalam dunia meteorologi, badai dikelompokkan berdasarkan kecepatan angin maksimum yang dihasilkan.
Kategori 1 berarti badai dengan kecepatan 119–153 km/jam.
Kategori 5, seperti Melissa, memiliki kecepatan di atas 252 km/jam — kekuatan yang dapat menyebabkan kerusakan total pada rumah, jalan, dan infrastruktur listrik.
Direktur Layanan Meteorologi Jamaika, Evan Thompson, mengatakan dalam konferensi pers di Kingston bahwa Melissa termasuk badai “paling berbahaya dan berpotensi mematikan.”
“Sangat sedikit yang dapat menghentikan badai kategori lima. Di mana pun Anda berada… Anda akan mengalami kesulitan yang signifikan, bahkan dengan infrastruktur yang ada di area tersebut,”
ujarnya, dikutip dari JIS (jis.gov.jm).
3. Dampak Langsung di Jamaika
Saat badai menerjang wilayah Westmoreland dan St. Elizabeth, ribuan rumah mengalami kerusakan berat. Listrik padam di banyak daerah, dan jaringan komunikasi lumpuh. Banyak warga harus dievakuasi ke tempat perlindungan darurat di sekolah dan gedung pemerintahan.
Selain angin kencang, hujan ekstrem dan banjir bandang menjadi ancaman terbesar. Lembaga penanggulangan bencana Jamaika (ODPEM) memperingatkan bahwa Melissa membawa curah hujan lebih dari 400 mm dalam waktu 24 jam — cukup untuk menenggelamkan sebagian kota kecil.
Sebelum badai mencapai daratan, Evan Thompson, Direktur Utama Cabang Layanan Meteorologi di Kementerian Air, Lingkungan Hidup, dan Perubahan Iklim Jamaika, telah mengingatkan publik bahwa wilayah barat daya akan menjadi titik masuk utama badai.
“Kami memang mengatakan bahwa [ketika] sistem tersebut… mencapai daratan, badai tersebut diperkirakan masih berkekuatan kategori lima,” ujar Thompson dalam konferensi pers di Pusat Operasi Darurat Nasional (NEOC), yang berlokasi di Kantor Kesiapsiagaan Bencana dan Manajemen Darurat (ODPEM), Kingston.
Pernyataan tersebut disampaikan sebagaimana dilaporkan oleh JIS, lembaga komunikasi resmi pemerintah Jamaika.
Thompson menjelaskan bahwa inti badai, yang berisi angin paling kuat dan curah hujan tertinggi, berpotensi menimbulkan kerusakan berskala bencana di area terdampak.
4. Apa yang Membuat Melissa Unik?
Badai Melissa bukan sekadar badai kuat — ia juga menjadi simbol dari perubahan iklim global. Para ahli menyebut badai ini sebagai bukti bahwa pemanasan laut akibat gas rumah kaca telah meningkatkan intensitas badai tropis di seluruh dunia.
Data dari World Meteorological Organization (WMO) menunjukkan bahwa frekuensi badai kategori tinggi meningkat hampir dua kali lipat dalam 20 tahun terakhir. Suhu laut yang hangat mempercepat pembentukan awan dan energi di atmosfer, membuat badai seperti Melissa lebih cepat tumbuh dan lebih lama bertahan.
5. Bagaimana Dunia Merespons?
Bantuan internasional segera mengalir ke Jamaika setelah laporan kerusakan besar meluas di media. Beberapa negara Karibia lain seperti Haiti dan Kuba juga bersiap menghadapi dampak sisa badai yang bergerak ke arah timur laut.
Pemerintah Jamaika mengimbau masyarakat untuk tetap waspada dan mematuhi instruksi evakuasi. Dalam siaran persnya, Thompson menambahkan:
“Kami memperkirakan kekuatannya akan berkurang secara bertahap seiring pergerakannya melewati pulau. Kekuatannya akan turun ke kategori empat, mungkin juga kategori tiga saat meninggalkan negara ini,”
ujarnya.
6. Pelajaran dari Badai Melissa
Melissa mengingatkan dunia bahwa badai bukan hanya fenomena cuaca, melainkan alarm nyata tentang krisis iklim global. Perubahan suhu laut sekecil apa pun dapat menciptakan badai yang lebih dahsyat, lebih lama, dan lebih merusak.
Bagi negara-negara kepulauan seperti Jamaika dan Indonesia, kesiap-siagaan terhadap bencana alam menjadi sangat penting — mulai dari sistem peringatan dini, infrastruktur tahan badai, hingga edukasi masyarakat.
Di balik kehancurannya, Badai Melissa membawa pesan kuat bahwa bumi sedang memberi peringatan. Seperti namanya yang lembut namun mematikan, Melissa mengajarkan bahwa alam tidak pernah main-main ketika keseimbangannya terganggu.

















